Объявление
Продам ДОМ с Участком! г.Полтава., Киевский район! 55.000 $ (Торг) - Продам прочее
Продам, предлагаю - частное лицо: Продам прочее, Украина, Полтава и областьКод: 98878 Создано: 02-06-2011 17:34
Цена: 55 000 USD $
|
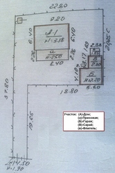
Общ., пл.: 59,5 кв.м. Жил., пл.: 32,2 кв.м Подсоб., пл.: 27,3 кв.м. Зем., Участок: 0,05 Га. Кирпичный дом в хорошем состоянии (1963 г.п.). 3-ри комнаты. Комуникации: Газ (котёл) , Электричество, Скважина (вода), Телефон, Интернет Доп. Постройки: Погреб, Гараж, Беседка, Сарай + флигель (не жилой). Место экологически чистое, плодоносный сад, хорошие соседи Приватизировано, документы готовы, от Хозяина! АН не беспокоить! Телефон: 066-7302669 Денис Александрович; 0532-539705 Анна Фёдоровна |
|
Картинки
Контактные данные
| Имя: |
Денис Александрович; |
|
| Контактный телефон: |
066-7302669 |
|
| Мобильный телефон: |
066-7302669 |


